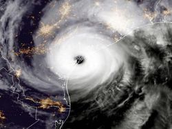
Jakarta - Badai Michael sedang menghantam Amerika Serikat. Berikut kumpulan foto-foto penampakan Badai Michael dan badai-badai lainnya dari citra satelit.
FotoINET
Penampakan Badai dari Citra Satelit
Kamis, 11 Okt 2018 10:39 WIB
(/)











































